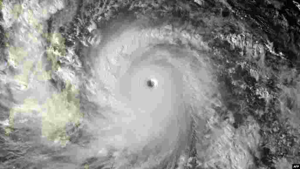
Светските сили брзаат да им помогнаат на Филипините, каде што се стравува дека над 10.000 луѓе загиале по ударот на тајфунот Хаијан. Од ОН велат дека околу 9,5 милиони луѓе биле погодени од катастрофата. Соединетите држави, Европската унија, Австралија и Обединетите нации најавија хуманитарни пакети, вклучувајќи храна, ќебиња, и засолниште за десетици илјади луѓе. Американското Министерство за одбрана испрати околу 90 маринци и морнари, како и авиони за потрага. Тајфунот Хаијан се смета за еден од насилните досега.
Филипините по смртоносниот тајфун
Поврзано
Категории
- Македонија
- Свет
- ТВ Тема на неделата
- ТВ Тема на денот
- Во 90 секунди